Property Description

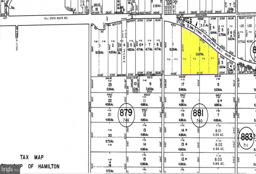
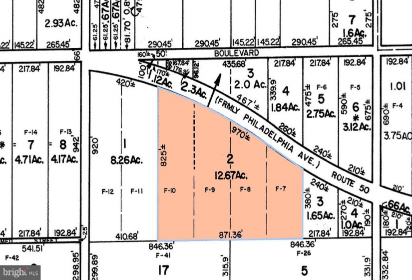
12.67 Acres Mays Landing. A gorgeous rural setting. Some of the leg work has already been done. Legendary Surveyor Herb Neilio and side-kick Engineer Jack Plasket did the wetlands delineation, survey, and plot plan. These two Great Americans have passed away but their good work can be carried on by you. This plan was never submitted to Hamilton Township Planning Board. You can see pictures of the plans in this listing. It looks very promising that two buildable lots are possible out of the parcel. The lot is in the RD-5 Zone Hamilton Twp – Mays Landing. The requirement is 1 house on every 5 acres. The design circumvents the wetland allowing for picturesque lots. It will up to the Buyer to submit a plot plan to Hamilton Twp if the Buyer wants to attempt to subdivide. Or the Buyer can build just 1 home. Either way the property will go to settlement once a Zoning permit is issued by the Township. The Buyer will be given a 30 day Due Diligence Period. Buyer shall be solely responsible for incurring the costs for any and all approvals, purchases, and permits required to develop the property. Buyer shall make application to the Hamilton Twp and NJ Pinelands Commission (within 10 calendar days of the agreement of sale being ratified). Take advantage of this rare opportunity to keep your family close. Remember: Nothing Ventured – Nothing Gained. Call Today!

Features
: Scenic Vista
N
N
: Backs to trees, Irregular, Trees/wooded, Secluded, Subdivision Possible, Rural, Road Frontage
N
Address Map
White Horse Pike to Route 50 South, approx 1 mile on the L (before the AC Expressway)
MLS Addon
Annually
Annually
HAMILTON TOWNSHIP PUBLIC SCHOOLS
$2,067
2020
RD-5
: Vacant
: No Septic Approved
: Well Permit Not Applied For
N
$0

Land For Sale

Block 881 - Lot 2 ROUTE 50, MAYS LANDING, New Jersey 08330

12.67 Acre
$82,900
Listing ID #NJAC2000574
Basic Details
Property Type : Land
Status : ACTIVE
Listing ID : NJAC2000574
Price : $82,900
Lot Area : 12.67 Acre
Price Per SQFT : $0
Lot SQFT : 551,905 Sqft
Ownership Interest : Fee Simple
Contact Agent