Property Description

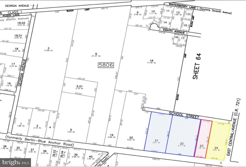
214 Route 73 Winslow Twp, NJ, 08037. Block 5806, Lots 21 and 22 are included in this sale. These parcels are depicted in (blue) outline. The price for these two lots is $650,000. Lot 21 is the location of the commercial landscaping business. The business trade name Mr. Green Jeans is not for sale, only the real property. Inclusions and exclusions are yet to be determined. Lot 21 is zoned PC1. Lot 22 is zoned PC3. Lot 21 is 3.57 aces and lot 22 is 4.71 acres. The Buyer may also purchase lots 23 and 24. Both of these lots are zoned PC3. Lot 23 is 1.81 acres and lot 24 is 3.03 acres. The PC3 zoning is favorable for commercial development. Lot 23 is depicted in red, while lot 24 is depicted in yellow. Lot 23 is listed at $175,900. Lot 24 is listed at $239,900. The total list price for all 4 parcels is 1,065,900. Showing at all parcels are by appointment only. Call Today!

Features
: Street
N
N
: First Floor Hall Light
: Appliances As Exist In "as Is" Condition
N
Address Map
Egg Harbor Road to Route 73 North, PIQ on R, the business sign is Mr Green Jeans. The sale of the property does not include the name Mr. Green Jeans. The Mr Green Jeans name is a separate entity and not part of the sale of the real property.
MLS Addon
Annually
Annually
WINSLOW TOWNSHIP PUBLIC SCHOOLS
$10,098
2020
PC1
: Agriculture, Retail, Wholesale
: On Site Septic
: Well
N
$0

Land For Sale

214 ROUTE 73 - LOTS 21 AND 22, HAMMONTON, New Jersey 08037

8.28 Acre
$650,000
Listing ID #NJCD416186
Basic Details
Property Type : Land
Status : ACTIVE
Listing ID : NJCD416186
Price : $650,000
Lot Area : 8.28 Acre
Price Per SQFT : $2
Lot SQFT : 360,676 Sqft
Ownership Interest : Fee Simple
Contact Agent