Property Description

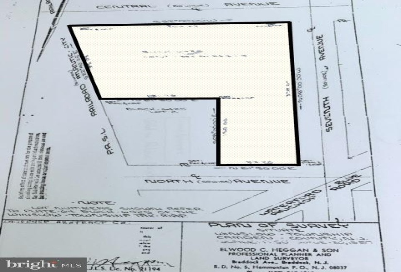
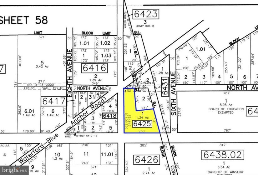
1.29 Acres. Build a Legacy! This is a buildable lot in the very rural and coveted Blue Anchor section of Winslow Twp. Buildable does not mean approved. Buildable mean that the lot meets the minimum requirements of the municipality zoning requirements. It will be the responsibility of the Buyer to get the approval from Winslow Twp and the NJ Pinelands. Approval in this case means Zoning Approval. Immediately after the Zoning permit is issued, settlement shall occur. The Seller will not wait for a Buyer Building permit. In normal circumstances it typically takes 45 to 90 days to obtain a Zoning permit from Winslow Twp. To get a Zoning Permit there’s two applications that need to be filed by the Buyer (one with the Town and one with the Pinelands). Base item needed for submission is a plot plan showing the location of the house and driveway. This property is zoned PR-6. The R means residential district. The minimum requirement for land area to build is 1 acre, this lot has 1.29 acres (meets the requirement). Minimum lot front required is 100 feet, this lot has 264 feet+ (meets the requirement). The Buyer will need to install well and septic, this is part of the Building permit and not the Zoning Permit. Typical requirements to install a septic system is a minimum of 1 acres, this lot has 1.29 acres. To the best of the seller’s knowledge, no wetlands, Buyer should do their own due diligence. Build your dream home, call today!

Features
: Street
N
N
: Partly Wooded, Level
N
Address Map
E
Egg Harbor Road West to Winterberry Labe. PIQ on the corner of E Central Ave and Winterberry.
MLS Addon
Annually
Annually
WINSLOW TOWNSHIP PUBLIC SCHOOLS
$1,320
2020
PR6
: Land/lot Only
: Private Sewer
: Private
N
$0

Land For Sale

Block 6425, Lot 1 CENTRAL AVENUE, HAMMONTON, New Jersey 08037

1.29 Acre
$34,900
Listing ID #NJCD418050
Basic Details
Property Type : Land
Status : ACTIVE UNDER CONTRACT
Listing ID : NJCD418050
Price : $34,900
Lot Area : 1.29 Acre
Price Per SQFT : $1
Lot SQFT : 56,192 Sqft
Ownership Interest : Fee Simple
Contact Agent